Strathcona: Historical Commercial (generally between 103 Street NW and 105 Street NW between 81 Avenue NW and 83 Avenue NW as shown on Schedule “A” of the Bylaw adopting this Zone, Queen Alexandra, Strathcona, and Strathcona Junction)
Bylaw 16607 (September 16, 2013)
Bylaw 16940 (September 22, 2014)
Bylaw 16965 (October 20, 2014)
Bylaw 16988 (November 17, 2014)
Bylaw 17096 (March 2, 2015)
Bylaw 17279 (July 6, 2015)
Bylaw 18164 (September 11, 2017)
Bylaw 18193 (November 15, 2017)
Bylaw 18239 (January 22, 2018)
Bylaw 18431 (June 12, 2018 - added the Cannabis Retail Sales under Uses)
Bylaw 19189 (March 10, 2020)
Charter Bylaw 20409 (March 13, 2023)
Charter Bylaw 20476 (May 15, 2023)
Bylaw 21390 (January 28, 2026)
| 1.1. | This Zone comprises the original, core commercial area of the former City of Strathcona. This Zone is required to help preserve buildings which are of historic significance, and to ensure that future renovation and redevelopment of surrounding buildings result in developments which are compatible in architectural and built form with the historic buildings of the area. This Zone also contains seven Sub-Areas as described in Subsections 10 to 16. |
| 2.1. | Those Lots, located generally between 103 Street NW and 105 Street NW between 81 Avenue NW and 83 Avenue NW as shown on Schedule “A” of the Bylaw adopting this Zone, Queen Alexandra, Strathcona, and Strathcona Junction. |
| 3.1. | This Zone is intended to: | |
| 3.1.1. | apply detailed and sensitive control of development and redevelopment within the core historic commercial area of Strathcona; | |
| 3.1.2. | encourage a highly pedestrian, retail commercial environment with offices and others Uses on the upper Storeys; | |
| 3.1.3. | emphasize and retain the original, historic architectural and urban design characteristics of this area in future renovations and redevelopments; and | |
| 3.1.4. | provide detailed control over specific Sites, which are or may be in future designated as historic resources under the Alberta Historical Resources Act, in an area which is used for primarily commercial purposes. | |
| 4.1. | Uses consistent with the rationale of this Zone and where applicable, with designation as a historic resource under the Alberta Historical Resources Act. | |
| Residential Uses | ||
| 4.2. | Home Based Business | |
| 4.3. | Residential, limited to: | |
| 4.3.1. | Multi-unit Housing | |
| 4.3.2. | Supportive Housing | |
| Commercial Uses | ||
| 4.4. | Bar | |
| 4.5. | Cannabis Retail Store | |
| 4.6. | Custom Manufacturing | |
| 4.7. | Food and Drink Service | |
| 4.8. | Health Service | |
| 4.9. | Hotel | |
| 4.10. | Indoor Sales and Service | |
| 4.11. | Liquor Store | |
| 4.12. | Major Indoor Entertainment | |
| 4.13. | Minor Indoor Entertainment | |
| 4.14. | Office | |
| 4.15. | Residential Sales Centre | |
| Community Uses | ||
| 4.16. | Child Care Service | |
| 4.17. | Community Service | |
| 4.18. | Library | |
| 4.19. | Special Event | |
| Basic Service Uses | ||
| 4.20. | Transit Facility | |
| Agricultural Uses | ||
| 4.21. | Urban Agriculture | |
| Sign Uses | ||
| 4.22. | Fascia Sign | |
| 4.23. | Projecting Sign | |
| 5.1. | With the exception of outdoor display areas of products for sale, Urban Agriculture Uses must be located within or on a building. | |||
| 5.2. | Despite the Setbacks specified in this Zone, Transit Facilities may project into a Setback Abutting a Street to integrate with transit infrastructure in the road right-of-way. | |||
| 5.3. | Drive-through Services are prohibited. | |||
| 5.4. | Signs must comply with Section 6.90 of the Zoning Bylaw, including Subsection 5 of Section 6.90, except that: | |||
| 5.4.1. | With any Development Permit for a Sign Use, a Comprehensive Sign Design Plan is required in accordance with Section 6.90 Subsection 3 to the satisfaction of the Development Planner in consultation with the City department responsible for heritage preservation. | |||
| 5.4.2. | For buildings listed on the Inventory or Register of Historic Resources in Edmonton, the traditional pattern of locating Signs, as shown on Sign Illustration 1, should be followed. The size, typeface, graphics, and materials should be chosen to suit the period of the original building wherever possible. New Signs must not be installed such that the repair, replacement or removal of the Sign damages the original fabric of the structure. | |||
| 5.4.3. | For buildings not on the Inventory or Register of Historic Resources in Edmonton and for new buildings, Signs should follow, as much as is practicable, the traditional pattern of locating Signs as shown on Sign Illustration 1. | |||
| ||||
| 5.4.4. | Signs are limited to On-premises Advertising. | |||
| 5.4.5. | For Fascia Signs, the following applies: | |||
| 5.4.5.1. | Where such features exist, Fascia Signs must be located in the traditional locations, as shown on Illustration 1, and as follows: | |||
| 5.4.5.1.1. | Sign band above the display or transom windows; | |||
| 5.4.5.1.2. | Sign band below upper cornice; and | |||
| 5.4.5.1.3. | Sign band immediately above an awning. | |||
| 5.4.5.2. | A maximum of 1 Fascia Sign in the form of a Wall Sign is permitted for: | |||
| 5.4.5.2.1. | each individual Business, limited to an Identification Sign; and | |||
| 5.4.5.2.2. | each individual building for the purposes of building identification. | |||
| 5.4.5.3. | Fascia Signs must consist only of a company Logo,an Identification Sign formed of individual letters, or a Logo and an Identification Sign formed of individual letters. | |||
| 5.4.5.4. | Fascia Signs may be illuminated if: | |||
| 5.4.5.4.1. | illumination is limited to External Illumination; or | |||
| 5.4.5.4.2. | only the lettering, Logo, or lettering and Logo are internally illuminated. | |||
| 5.4.5.5. | The maximum Sign Area for each individual Fascia Sign is 10.0 m2. | |||
| 5.4.5.6. | Where a Fascia Sign is in the form of a Mural Sign: | |||
| 5.4.5.6.1. | It must be painted directly onto the exterior wall of a building or onto a solid material which is affixed directly to the exterior wall of a building; and | |||
| 5.4.5.6.2. | Despite 5.4.5.5, the total maximum Sign Area is 65 m2 for all Mural Signs. The Development Planner may increase the Sign area at their discretion, in consultation with the City department responsible for heritage preservation. | |||
| 5.4.5.7. | Where a Fascia Signs is in the form of a Window Sign: | |||
| 5.4.5.7.1. | Despite 5.4.5.5, the maximum Sign Area for Fascia Signs in the form of a Window Sign is 25% of the area of the window on which it is located. | |||
| 5.4.5.7.2. | The total cumulative Sign Area for all Fascia Signs in the form of Window Signs is a maximum of 10% of Ground Floor windows; the remaining windows on the building must be clear, untinted, and free from obstruction. | |||
| 5.4.6. | For Projecting Signs, the following applies: | |||
| 5.4.6.1. | Projecting Signs must not, in the opinion of the Development Planner, significantly obstruct existing approved Signs. | |||
| 5.4.6.2. | A maximum of 1 Projecting Sign is allowed for each individual Ground Floor establishment and is limited to an Identification Sign. | |||
| 5.4.6.3. | The maximum permitted Sign Area of a Projecting Sign is 7.5 m2. | |||
| 5.4.6.4. | Projecting Signs must not be in the form of a Roof Sign. | |||
| 5.4.6.5. | Projecting Signs may be illuminated if: | |||
| 5.4.6.5.1. | illumination is limited to External Illumination; or | |||
| 5.4.6.5.2. | only the lettering, Logo, or lettering and Logo are internally illuminated. | |||
| 5.4.6.6. | Where a Projecting Sign is oriented perpendicular to the building wall, the following applies: | |||
| 5.4.6.6.1. | Specialty Projecting Signs are encouraged. These are Signs where the shape and details of the Sign are reflective of the nature of the business referred to on the Sign. Examples are optometrist Signs in the shape of eyeglasses, shoe repair Signs in the shape of shoes, etc.; | |||
| ||||
| 5.4.6.6.2. | In the case of signs on the corner of a building, Projecting Signs must be placed at equal angles to the two Frontages at the corner of the building; | |||
| 5.4.6.6.3. | For one Storey buildings, the top of a Projecting Sign must not extend more than 0.3 m above the building roof or parapet wall. | |||
| 5.4.6.6.4. | For buildings two Storeys or higher, the top of a Projecting Sign must not extend more than 0.7 m above the floor of the third Storey, nor higher than the window sill level of the third Storey. | |||
| 5.4.6.7. | Where a Projecting Sign is parallel to the building wall, the following applies: | |||
| 5.4.6.7.1. | It must be in the form of an awning or attached to an awning in accordance with Subsection 7.8; | |||
| 5.4.6.7.2. | It must not be illuminated; | |||
| 5.4.6.7.3. | It must be located on the Ground Floor, on awnings above upper Storey windows, or located on the Ground Floor and on awnings above upper Storey windows; | |||
| 5.4.6.7.4. | It must be painted on, or directly affixed to, the awning covering. No Sign can be suspended from an awning covering or support structure; | |||
| 5.4.6.7.5. | The Copy on the sloping portion of an awning Sign is restricted to the name or Logo of the on-premises business. | |||
| 5.5. | Residential in the form of Multi-unit Housing and Supportive Housing must be located above the ground Storey. | |||
| 5.6. | All Uses are limited to a maximum Floor Area of 464.5 m2 per Storey, and a total maximum Floor Area of 929 m2 per building, except: | |||
| 5.6.1. | Bar, Food and Drink Service, and Major Indoor Entertainment Uses must not exceed 240 m2 of Public Space per individual establishment. | |||
| 6.1. | The maximum Floor Area Ratio is 2.5. |
| 6.2. | The maximum building Height is 15.0 m. |
| 6.3. | The maximum Density is 1000 du/ha. |
| 6.4. | New structures must be built to the Front and side Lot lines. The Development Planner, in consultation with the City department responsible for heritage preservation, may allow building Setbacks up to 2.5 m to accommodate street related activities such as sidewalk cafes, architectural features and Landscaping that contribute to the historical and pedestrian-oriented shopping character of the area. |
|
| 7.1. | New construction must emphasize the use of brick, wood, pressed metal and cast stone. Reflective glass windows are not permitted. | |
| 7.2. | Exterior finishes must primarily emphasize subdued colours. | |
| 7.3. | Decorative details and Facade articulations must generally respect or make continuous, the horizontal features of neighbouring buildings. | |
| 7.4. | Sign bands, cornices, windows, canopies and awnings must be generally aligned with similar features on neighbouring buildings. | |
| 7.5. | Major vertical elements must be introduced into the Facade design of new buildings at approximately 10.0 m intervals to maintain the traditional vertical pattern of building Facade design. | |
| ||
| ||
| 7.6. | Storefronts and entrances must incorporate the historic pattern of recessed entries, transom glazing and large display windows with minimum partitioning at eye level. Window sills must be between 0.45 m and 0.75 m above the level of the sidewalk and allow for a bulkhead panel below. | |
| 7.7. | Windows above the Ground Floor must be of “punched” design, reflect the repetitive, vertical pattern along the street, and be vertically proportioned (2:3 - width:height). Horizontal strip windows are prohibited. | |
| ||
| 7.8. | Awnings | |
| 7.8.1. | New awnings must have a traditional profile similar to that shown in Illustration 5 below and may be fixed or retractable with a skirt (valance) utilizing canvas or material similar in appearance; | |
| 7.8.2. | New awnings must provide weather protection for pedestrians with a minimum projection of 1.5 m from the building Facade; | |
| 7.8.3. | Backlit or bubble awnings and awnings less than 1.5 m deep, whose primary function is signage, are not permitted (see Illustration 6 below); and | |
| 7.8.4. | New awnings must be mounted between the wood or masonry piers which frame the storefront and must align horizontally (where structurally possible) with neighbouring awnings. | |
| ||
| 8.1. | Any Surface Parking Lots must be located at the rear of the building. |
| 8.2. | Vehicle access must be from an Abutting Alley. |
| 8.3. | Development that consists of the construction of an entirely new principal building, including the removal and replacement of a principal building, is required to provide Bike Parking in accordance with the Zoning Bylaw. |
| 8.4. | Despite the regulations for loading spaces in the Zoning Bylaw, only development that consists of the construction of an entirely new principal building, including the removal and replacement of a principal building, is required to provide loading spaces in accordance with the Zoning Bylaw which must be accessed from the rear Alley. |
| 8.5. | Despite other regulations of the Zoning Bylaw or this Zone, buildings which are designated Provincial Historic Resources or are included on the Inventory and Register of Historic Resources in Edmonton are not required to have loading spaces. |
| 8.6. | In all cases, the Development Planner has the authority to vary the number and size of loading spaces. |
| 9.1. | All Development Permits relating to exterior alterations, Signs, renovation to existing buildings or new construction must be reviewed by the Development Planner in consultation with the City department responsible for heritage preservation. |
| 9.2. | During renovation or restoration, architectural treatment of properties included on the Inventory and Register of Historic Resources in Edmonton must follow the “General Guidelines for Rehabilitation” from City Policy C-450B, “A Policy to Encourage the Designation and Rehabilitation of Municipal Historic Resources in Edmonton.” |
| 9.3. | New construction or renovation of properties not included on the Inventory and Register Of Historic Resources In Edmonton must conform with the visual continuity of the historic Strathcona streetscapes which is characterized by buildings which are similar in scale, alignment and Setbacks. |
| 9.4. | Despite Section 5.6.1of this Zone and the definition of “Public Space” within the Zoning Bylaw, Public Space within this Zone excludes exterior patio/deck space, provided the exterior patio/deck space does not exceed 50% of the interior Public Space of the Use. |
| 9.5. | The Development Planner, in consultation with the City department responsible for heritage preservation, may vary any regulation within this Zone, excluding Floor Area maximums, Public Space maximums, and the requirement for Residential Uses to be located above the ground Storey if, in their opinion, such variances would not diminish the historical nature of a building or the area. |
| 10.1. | Purpose | |
| 10.1.1. | To allow for the redevelopment of a former brownfield service station site into a mixed use development. Unless specifically excluded or modified in the following Subsections, all Uses and regulations in Sections 4 through 9 of this Zone apply to this Sub Area. | |
| 10.2. | Area of Application | |
| 10.2.1. | This Sub Area is located on the southeast corner of 82 (Whyte) Avenue NW and 105 Street NW and is legally described as Lot 35, Block 62, Plan 1822892. | |
| 10.3. | Development Regulations | |
| 10.3.1. | If required by the Development Planner, remediation work must be undertaken and verified to the satisfaction of the Development Planner in consultation with the City department responsible for environmental planning prior to the issuance of any Building Permit within the Sub Area, excepting any excavation Building Permit. The Development Planner must not release the Development Permit for the purposes of a Building Permit other than an excavation Building Permit until this regulation has been adequately satisfied. If required, the Development Planner must impose any conditions necessary to ensure the area that is subject to the Development Permit application is suitable for the full range of Uses contemplated in the Development Permit application. | |
| 10.3.2. | Despite Section 5.6 of this Zone, Residential Uses are restricted to above the Ground Floor only and limited to a gross Floor Area within the Sub Area no greater than 8,775 m2. | |
| 10.3.3. | Despite Section 5.6 of this Zone, Office and Health Service Uses are limited to a gross Floor Area within the Sub Area no greater than 5,575 m2 with each Office or Health Service Use, limited to a maximum Floor Area of 280 m2 at ground level. | |
| 10.3.4. | Despite Section 5.6 of this Zone, Indoor Sales and Service Uses are limited to a gross Floor Area within the Sub Area no greater than 5,575 m2 with each Indoor Sales and Service Use limited to a maximum Floor Area of 929 m2. | |
| 10.3.5. | Despite Section 5.6 of this Zone, Hotel Uses are limited to a gross Floor Area within the Sub Area no greater than 8,775 m2 with each Hotel Use limited to a maximum Floor Area of 500 m2 at ground level. | |
| 10.3.6. | Despite Section 5.6 and 5.6.1 of this Zone, Food and Drink Service Uses are limited to a gross Floor Area within the Sub Area no greater than 2,500 m2. One (1) Food and Drink Service Use is permitted to have a maximum of 375 m2 of Public Space only when the gross Floor Area of the Food and Drink Service Use is less than 5% of the gross Floor Area within a building. All other Food and Drink Service Uses must each have a maximum of 240 m2 of Public Space. | |
| 10.3.7. | Despite Subsection 6.1 of this Zone, the maximum Floor Area Ratio is 5.0. | |
| 10.3.8. | Despite Subsection 6.2 of this Zone, the maximum Height is 27.0 m. | |
| 10.3.9. | Despite Section 5.70 of the Zoning Bylaw all features identified in Subsection 1.9 of Section 5.70 except for elevator housing, roof stairways, water or other tanks, ventilating equipment, plumbing stacks, and mechanical penthouses, must be considered for the purpose of Height determination. Any feature excluded from the Height calculation must be screened and setback so as not to be a predominately visible feature of the east, north or west rooflines to the satisfaction of the Development Planner. | |
| 10.3.10. | The podium/Street Wall of the building must be a minimum of 2 Storeys to a maximum of 3 Storeys in Height. The minimum Height of the podium/Street Wall is 10.15 m and the maximum Height of the podium/Street Wall must be 13.5 m. | |
| 10.3.11. | The portion of the building located above the podium/Street Wall must have a minimum Stepback of 3.0 m from the podium/Street Wall facing 82 Avenue NW and facing 105 Street NW. No Stepbacks are required on the east and south Facades of the building. | |
| 10.3.12. | Balconies are only permitted above the podium/Street Wall level. Balconies must have a minimum Stepback of 2.5 m from the podium/Street Wall facing 82 Avenue NW and facing 105 Street NW. No Stepbacks are required on the east and south Facades of the building. Where Balconies project from the building they must be cantilevered and designed in a manner such that they are not a prominent architectural feature to the satisfaction of the Development Planner in consultation with the City department responsible for heritage preservation. | |
| 10.3.13. | Terraces/patios on top of the podium/Street Wall are permitted and must have a minimum Stepback from the podium/Street Wall of 1.0 m. If a safety railing is required for terraces/patios facing 82 Avenue NW or 105 Street NW, it must be screened from view by the podium/Street Wall parapet so as not to be observed at street level directly across from the site on the north side of 82 Avenue NW or the west side of 105 Street NW. | |
| 10.3.14. | Despite Subsection 3 of Section 5.20 of the Zoning Bylaw, there are no dimension requirements for Amenity Areas. | |
| 10.3.15. | The development must be compatible with the visual continuity of the historic Strathcona streetscapes which are characterized by buildings which are similar in rhythm, alignment, and Setbacks. | |
| 10.3.16. | Despite Subsection 7.1 of this Zone, the podium/Street Wall must emphasize the use of traditional materials such as brick, wood, pressed metal and cast stone on all Facades. That portion of the building located above the podium/Street Wall must be differentiated from the podium/Street Wall through the use of more contemporary architecture but must use compatible exterior materials such as, but not limited to, brick, wood, pressed metal, cast stone, metal, acrylic stucco and glass. Elements of the design character of the podium/Street Wall must be expressed on the Storeys above the podium/Street Wall to ensure compatibility between the two portions of the building. Reflective glass windows are only permitted on the south Facade of the building. | |
| 10.3.17. | Despite Subsection 7.3 of this Zone, that portion of the building located above the podium/Street Wall while being differentiated from the podium/Street Wall must reflect elements of the decorative details and Facade articulations of the podium/Street Wall to ensure compatibility between the two portions of the building. | |
| 10.3.18. | Despite Subsection 7.7 of this Zone, podium/Street Wall windows above the first Storey of the building must generally reflect the repetitive, vertical pattern along the street. Horizontal strip windows are prohibited. Windows located in the portion of the building above the podium/Street Wall must also account for traditional detailing but must only be required to give the appearance of vertical portioning through architectural features such as muntins and/or mullions. | |
| 10.3.19. | Despite Subsection 9.5 of this Zone, the Development Planner must not vary Height or Floor Area Ratio. | |
| 11.1. | Purpose | |||
| 11.1.1. | To address design regulations for the specific Use of a Major or Minor Indoor Entertainment establishment, to ensure that development is architecturally sensitive to the historic buildings within this Zone, while ensuring consistency and functionality of this particular Use. Unless specifically excluded or modified in the following Subsections, all Uses and regulations in Sections 4 through 9 of this Zone apply to this Sub Area. | |||
| 11.2. | Area of Application | |||
| 11.2.1. | This Sub Area comprises land legally described as Lots 19 - 22, Block 68, Plan I. As shown on Appendix I of this Sub Area, the Sub Area is further divided into Area ‘A’, being Lots 19, 20 and the westerly 6.1 metres of Lot 21, and Area ‘B’, being the remaining eastern portion of Lot 21 and Lot 22. Area ‘B’ contains the Strathcona Public Market building, a building on the Inventory of Historic Resources in Edmonton. Subsections 11.3, 11.4, and 11.5 of this Sub Area apply to Area ‘A’ and not Area ‘B’, which remains subject to the broader DC Zone. | |||
| 11.3. | Rationale | |||
| 11.3.1. | Despite Section 3 of this Zone, recognizing that 83 Avenue NW is not the primary pedestrian oriented shopping street that is 82 Avenue NW, this Sub Area allows for the redevelopment of the Varscona Theatre with architectural and design regulations more fitting of this Use, but still reflecting the scale and historic nature of the area. | |||
| 11.4. | Uses, in addition to the Uses in Section 4 of this Zone: | |||
| 11.4.1. | Minor Digital Sign | |||
| 11.5. | Development Regulations | |||
| 11.5.1. | Development must be in general conformance with Appendices I and II of this Sub Area. | |||
| 11.5.2. | Despite Section 5.6 of this Zone, Major Indoor Entertainment is limited to a maximum gross Floor Area of 1,600 m2 and a spectator capacity of 350. | |||
| 11.5.3. | Despite Subsection 6.2 of this Zone, the maximum building Height is 14.0 m with the exception of the tower feature in existence at the time of passage of the Bylaw adopting this Zone. | |||
| 11.5.4. | Despite Subsection 6.4 of this Zone, Setbacks must comply with those shown on Appendix I of this Sub Area. The development is not required to build to the side Lot lines as necessitated by the pre-existing utility right-of-way on the west, and the pre-existing building on the east. | |||
| 11.5.5. | Despite Subsection 8.3 of this Zone, 12 Bike Parking Spaces must be provided as generally shown on Appendix I of this Sub Area. | |||
| 11.5.6. | Despite Subsections 8.4 and 8.5 of this Zone, 1 loading space must be provided in general accordance with Appendix I of this Sub Area to the satisfaction of the Development Planner, in consultation with the City department responsible for transportation services. | |||
| 11.5.7. | The garbage enclosure area must be located in general accordance with Appendix I of this Sub Area and must be screened from view from adjacent Sites and Streets in accordance with the Zoning Bylaw. The garbage enclosure area must be designed to the satisfaction of the Development Planner in consultation with the City departments responsible for waste services and transportation services. | |||
| 11.5.8. | Despite Section 5.4 of this Zone, Fascia Signs are allowed as generally shown in Appendix II of this Sub Area. | |||
| 11.5.9. | Despite Section 7.8 of this Zone, an awning/canopy is allowed to serve as weather protection projecting no more than 2.0 m from the main Facade as shown on Appendices I and II of this Sub Area. An Encroachment Agreement is required for that portion of the projection that extends into road right-of-way. This awning/canopy must be provided in a manner consistent with the architectural character of the building to the satisfaction of the Development Planner in consultation with the City department responsible for heritage preservation. Despite Section 5.4 of this Zone, the awning/canopy may also serve as a surface for projecting or fascia signs which may be illuminated from an external source or backlit if only the lettering is backlit. | |||
| 11.5.10. | Despite Section 5.4 of this Zone, Fascia Signs in the form of Window Signs are allowed on windows as shown on Appendix II of this Sub Area. This signage must be provided integrated into the architectural character of the building to the satisfaction of the Development Planner, in consultation with the City department responsible for heritage preservation. | |||
| 11.5.11. | Signs must comply with Section 5.4 of this Zone, except that: | |||
| 11.5.11.1. | A maximum of one Minor Digital Sign is allowed. | |||
| 11.5.11.2. | Despite the definition of a Minor Digital Sign in the Zoning Bylaw, Minor Digital Signs must only be in the form of a Window Sign displayed behind the inside of the window. A Minor Digital Sign in the form of a Ground Sign or Fascia Sign is prohibited. | |||
| 11.5.11.3. | The Minor Digital Sign is limited to the Ground Floor of the North Facade, as generally shown on Appendix II of this Sub Area. No portion of the Minor Digital Sign may be located above the Ground Floor of the building. | |||
| 11.5.11.4. | The maximum Sign Area for the Minor Digital Sign is twenty-five percent (25%) of the total area of the windows on the Ground Floor of the north Facade, or 2.0 m2, whichever is less. | |||
| 11.5.11.5. | The Minor Digital Sign must be turned off between 12:00 am - 5:00 am, unless displaying On-permises Advertising for an ongoing event occurring between 12:00 am - 5:00 am. | |||
| 11.5.11.6. | Despite Section 5.4.4 of this Zone, Minor Digital Signs may display Off-premises Advertising in the form of a sponsor’s name or Logo if: | |||
| 11.5.11.6.1. | A maximum of 25% of the Sign Area is used for the sponsor’s name or Logo and the remaining 75% is used for On-premises Advertising; or, | |||
| 11.5.11.6.2. | A maximum of 10% of the Signs total display time shows Off-Premises Advertising, with the remaining 90% displaying On-premises Advertising. | |||
| 11.5.12. | Decorative and security lighting must be designed and finished in a manner consistent with the design and finishing of the development. It may include a combination of building mounted and landscape lighting fixtures and must be provided to ensure a well-lit and safe environment for pedestrians and to highlight the development at night time, to the satisfaction of the Development Planner in consultation with the City department responsible for heritage preservation. | |||
| 11.5.13. | With the exception of roof scuppers and air ducts extending from the upper rear portion of the east and north Facades, all mechanical equipment, including roof mechanical units, must be concealed by screening in a manner compatible with the architectural character of the building or concealed by incorporating it within the building, to the satisfaction of the Development Planner in consultation with the City department responsible for heritage preservation. | |||
| 11.5.14. | Despite Subsection 7.5 of this Zone, major vertical elements are not required at 10.0 m intervals in the Facades. | |||
| 11.5.15. | Despite Subsections 7.6 and 7.7 of this Zone, building Facades in the Sub Area must comply with the following: | |||
| 11.5.15.1. | The architectural style must reflect the function of the building and the character of the street as service oriented; | |||
| 11.5.15.2. | The street level portion of the building facing 83 Avenue NW and the flanking Alley to the west must be of unified design and be a cohesive element along the Street and Alley; | |||
| 11.5.15.3. | Traditional materials like brick, wood, pressed metal and cast stone must be used at street level, facing 83 Avenue NW and on the portion of the west Facade near the main entrance of the building to ensure consistency with the rest of this DC Zone. This must contribute to the historical nature of the area to the satisfaction of the Development Planner in consultation with the City department responsible for heritage preservation; | |||
| 11.5.15.4. | The 83 Avenue NW Facade must have architectural treatments, including clear glass windows, that allows viewing into the building to promote a positive pedestrian-oriented street. This may include large window openings, full height windows and/or windows that physically open to ensure a pedestrian connection to the lobby and foyer of the building; and | |||
| 11.5.15.5. | The entry must be distinct from the Facade by incorporating features such as pediments, elevational changes in height and brick articulation. | |||
| ||||
| ||||
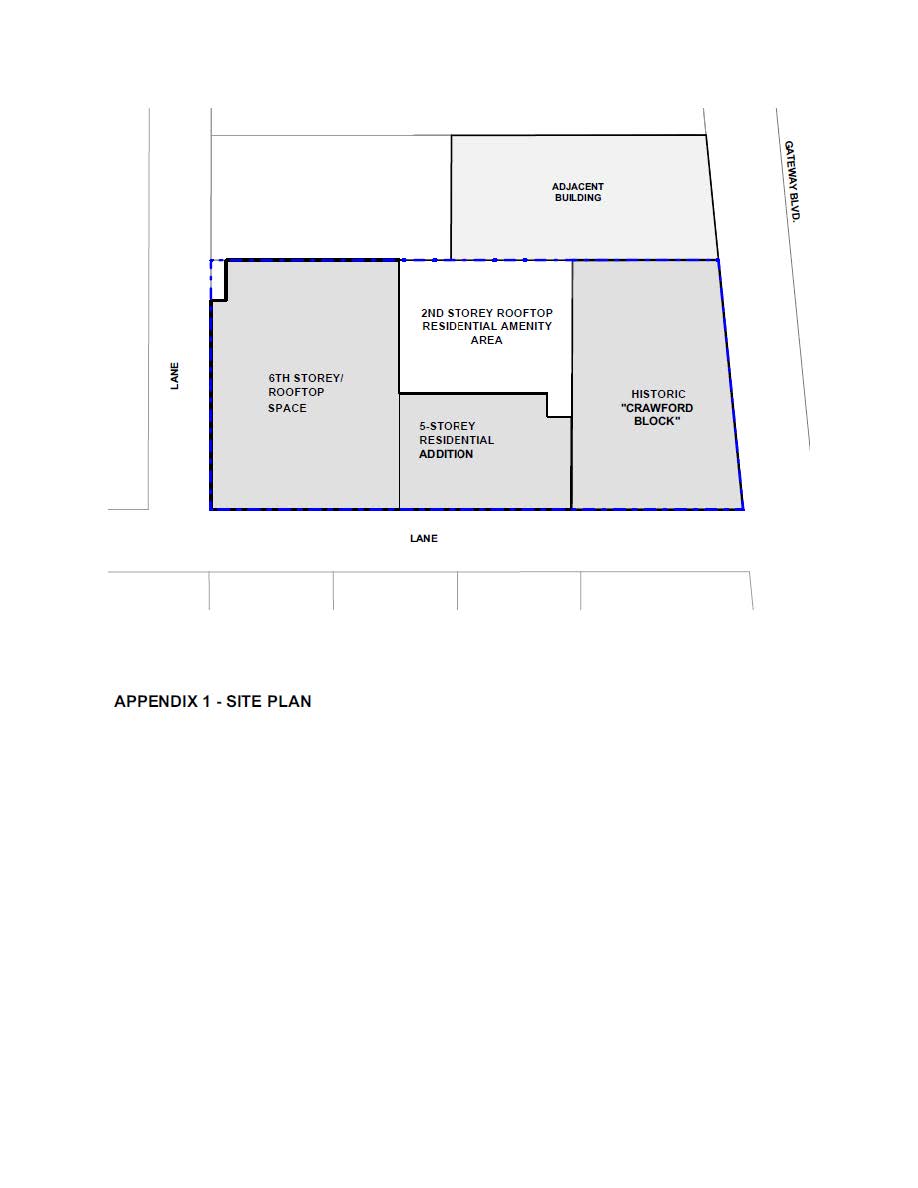
| 12.1. | Purpose | ||
| 12.1.1. | To accommodate an addition to the Crawford Block building that ensures the redevelopment is architecturally sensitive to the existing building and adjacent historical buildings. Unless specifically excluded or modified in the following Subsections, all Uses and regulations in Sections 4 through 9 of this Zone apply to this Sub Area. | ||
| 12.2. | Area of Application | ||
| 12.2.1. | This Sub Area is located west of Gateway Boulevard NW between 82 Avenue NW and 83 Avenue NW and is legally described as Lots 26 and 27, Block 68, Plan I. | ||
| 12.3. | Development Regulations | ||
| 12.3.1. | Development of the site must be in general conformance with Appendices 1 and 2 of this Sub Area. | ||
| 12.3.2. | Despite Section 5.6 of this Zone, Residential Uses are limited to 700 m2 per Storey and 2300 m2 per building. | ||
| 12.3.3. | Despite Section 4 of this Zone, only the following Uses and activities are allowed on the 6th Storey/rooftop of the building: | ||
| 12.3.3.1. | Bar; | ||
| 12.3.3.2. | Food and Drink Service; and | ||
| 12.3.3.3. | Amenity Area associated with Residential Uses in the building. | ||
| 12.3.4. | Despite Section 5.6.1 of this Zone, Bar and Food and Drink Service Uses located on the 6th Storey/rooftop of the building must not exceed 210 m2 of Public Space. | ||
| 12.3.4.1. | If the 6th Storey/rooftop space is an extension of a Use contained elsewhere in the building, the combined Public Space of the Use must not exceed 385 m2. | ||
| 12.3.5. | The enclosed portion of the 6th Storey/rooftop containing Bar or Food and Drink Service Uses is limited to 35 m2 of Floor Area. | ||
| 12.3.6. | The enclosed portion of the 6th Storey/rooftop containing Uses must be a minimum of 3.0 m away from the south and west exterior Facades of the 5th Storey of the building. | ||
| 12.3.7. | The exterior of the enclosed portion of the 6th Storey/rooftop containing Uses must emphasize colours consistent with the historic Crawford Block and/or the existing addition. | ||
| 12.3.8. | Despite Section 6.1. of this Zone, the maximum Floor Area Ratio is 4.2. | ||
| 12.3.9. | Despite Section 6.2 of this Zone, the maximum building Height is 17.0 m, except the enclosed portion of the 6th Storey/rooftop space containing Uses must not exceed 22.0 m, nor the Height of the existing mechanical/elevator/stairwell enclosure. | ||
| 12.3.10. | Despite Amenity Area regulations of the Zoning Bylaw, the total amount of required Amenity Area in this Sub Area is 125 m2. | ||
| 12.3.11. | Development of exterior Public Space for Bar or Food and Drink Service Uses must be compatible with other Uses located on or Abutting the Site, having regard for: | ||
| 12.3.11.1. | the siting of the exterior Public Space; | ||
| 12.3.11.2. | the location and use of outdoor speakers and amplification systems; and | ||
| 12.3.11.3. | hours of operation. | ||
| 12.4. | Heritage Regulations | ||
| 12.4.1. | The Crawford Block and associated lands are a Designated Municipal Historic Resource. Exterior alterations and additions must be sympathetic to and compatible with the historic Facades of the Crawford Block to the satisfaction of the Development Planner in consultation with the City department responsible for heritage preservation. The following standards and guidelines must be applied when reviewing development applications for the Crawford Block: | ||
| 12.4.1.1. | The General Guidelines for Rehabilitation contained in The City of Edmonton Bylaw 16916, Bylaw to Designate the Crawford Block a Municipal Historic Resource; and | ||
| 12.4.1.2. | The Standards and Guidelines for the Conservation of Historic Places in Canada. | ||
| |||
| |||
| 13.1. | Purpose | ||
| 13.1.1. | To provide the opportunity for programmable public amenity space that respects the heritage character of the surrounding buildings and area, while providing pedestrian connectivity between 82 Avenue NW and the Alley. Unless specifically excluded or modified in the following Subsections, all Uses and regulations in Sections 4 through 9 of this Zone apply to this Sub Area. | ||
| 13.2. | Area of Application | ||
| 13.2.1. | This Sub Area is located on a portion of former Alley running north- south on the north side of 82 (Whyte) Avenue NW between 104 Street NW and 105 Street NW. | ||
| 13.3. | Uses | ||
| 13.3.1. | Despite Section 4 of this Zone, only the following Uses are permitted within this Sub Area: | ||
| 13.3.1.1. | Custom Manufacturing | ||
| 13.3.1.2. | Food and Drink Service | ||
| 13.3.1.3. | Indoor Sales and Service | ||
| 13.3.1.4. | Library | ||
| 13.3.1.5. | Outdoor Recreation Service | ||
| 13.3.1.6. | Outdoor Sales and Service | ||
| 13.3.1.7. | Outdoor Entertainment | ||
| 13.3.1.8. | Park | ||
| 13.3.1.9. | Special Event | ||
| 13.3.1.10. | Urban Agriculture | ||
| 13.3.1.11. | Freestanding Sign | ||
| 13.3.1.12. | Portable Sign | ||
| 13.4 | Development Regulations | ||
| 13.4.1. | All Development Permits, with the exception of those for Portable Signs, issued within this Sub Area must carry out notification in accordance with Subsections 1.3, 1.4 and 1.5 of Section 7.160 of the Zoning Bylaw. | ||
| 13.4.2. | For each development permit application, the Development Planner must consider the impact of proposed developments on surrounding properties and may, when it is determined that a negative impact could occur, instruct the applicant to: | ||
| 13.4.2.1. | contact the affected parties, being the municipal address and the address of property owners that are wholly or partially within 60.0 m of the boundaries of the Site which is the subject of the Development Permit and the president of any applicable community leagues, and the executive director of any applicable business improvement areas; | ||
| 13.4.2.2. | outline, to the affected parties, the details of their proposed development and solicit their comments on the application; | ||
| 13.4.2.3. | document any opinions or concerns, expressed by the affected parties, and what modifications were made to address concerns; and | ||
| 13.4.2.4. | submit this documentation to the Development Planner who must then use the information provided to impose any conditions deemed necessary to address the concerns or potential negative impacts. | ||
| 13.4.3. | Special Events must be developed in conformance with Section 6.100 the Zoning Bylaw. | ||
| 13.4.4. | Custom Manufacturing, Food and Drink Service, Indoor Sales and Service, Outdoor Recreation Service, Outdoor Sales and Service, Outdoor Entertainment and Urban Agriculture are limited to a maximum combined area within the Sub Area of 100 m2. | ||
| 13.4.5. | No development within this Sub Area can include a permanent building or structure, except for general projections such as awnings or Signs from buildings abutting this Sub Area. | ||
| 13.4.6. | Despite parking regulations of the Zoning Bylaw or other regulations within this Zone, no development in this Sub Area requires any form of vehicular parking, bike parking or loading spaces. | ||
| 13.4.7. | No formal, permanent waste collection bins or area is required, however, the Development Planner must ensure that any proposed temporary development has appropriate methods of waste accumulation and collection, depending on Use in consultation with the City department responsible for waste management. | ||
| 13.4.8. | The Sub Area must remain publicly accessible to people walking or rolling through the north and south boundaries of the Sub Area and a clearly delineated pedestrian pathway a minimum of 1.8 m in width must be maintained through the Sub Area linking 82 Avenue NW, the rear Alley and entryways of the directly Abutting buildings that open onto the Sub Area. | ||
| 13.4.9. | Development must provide adequate lighting to ensure a safe pedestrian environment to the satisfaction of the Development Planner. No direct rays of light can be directed at any adjoining properties, or interfere with the effectiveness of any traffic control devices in accordance with Lighting regulations of the Zoning Bylaw. | ||
| 13.4.10. | Section 5.60 (Landscaping) of the Zoning Bylaw does not apply to development within this Sub Area. | ||
| 13.4.11. | Signs within this Sub Area must conform with Section 5.4 of this Zone and with the following: | ||
| 13.4.11.1. | Portable Signs must not include changeable Copy. | ||
| 13.4.11.2. | Trailer mounted Signs are not permitted. | ||
| 13.4.11.3. | Freestanding Signs must only be developed in a permanent nature if the Copy of such signs is displaying public information such as way-finding, maps or information about public areas. These Signs must not display private advertisement for a product, business or service either on or off Site. | ||
| 14.1. | Purpose | ||
| 14.1.1. | To provide detailed, site specific control to ensure ongoing viability of the Hulbert Block, a designated Municipal Historic Resource and ensure any changes are architecturally sensitive to the existing building and adjacent historic buildings. Unless specifically excluded or modified in the following Subsections, all Uses and regulations in Sections 4 through 9 of this Zone apply to this Sub Area. | ||
| 14.2. | Area of Application | ||
| 14.2.1. | This Sub Area is located south of 82 Avenue NW between Gateway Boulevard NW and 104 Street NW and is legally described as Lot 14, Block 61, Plan I. | ||
| 14.3. | Development Regulations | ||
| 14.3.1. | Development must be in general accordance with Appendix 1 of this Sub Area. | ||
| 14.3.2. | In the event that the existing Hulbert Block building is destroyed, redevelopment must be in accordance with Sections 4 through 9 of this Zone but is not required to be in accordance with Appendix 1 of this Sub Area, to the satisfaction of the Development Planner in consultation with the City department responsible for heritage preservation. | ||
| 14.3.3. | Despite Subsection 14.3.2 of this Zone, any portion of the designated building remaining must be incorporated and retained to the satisfaction of the Development Planner in consultation with the City department responsible for heritage preservation. | ||
| 14.3.4. | Despite Section 5.4.5.7.1 of this Zone, a Fascia Sign in the form of a Window Sign above the Ground Floor must not exceed 10% of the window area and the remainder of the window area must remain free from obstruction allowing viewing from the exterior to the interior of the building. | ||
| 14.4. | Heritage Regulations | ||
| 14.4.1. | The Hulbert Block and associated lands are a Designated Municipal Historic Resource. Exterior alterations and additions must be sympathetic to and compatible with the historic Facades of the Hulbert Block to the satisfaction of the Development Planner in consultation with the City department responsible for heritage preservation. The following standards and guidelines must be applied when reviewing development applications for the Hulbert Block: | ||
| 14.4.1.1. | The General Guidelines for Rehabilitation contained in The City of Edmonton Bylaw 17480, Bylaw to Designate the Hulbert Block a Municipal Historic Resource; and | ||
| 14.4.1.2. | The Standards and Guidelines for the Conservation of Historic Places in Canada. | ||
| |||
| 15.1. | General Purpose | ||
| 15.1.1. | To preserve and enhance the Strathcona Hotel, a municipally designated historic building and to ensure any changes are architecturally sensitive to the existing building and adjacent historical buildings. Unless specifically excluded or modified in the following Subsections, all Uses and regulations in Sections 4 through 9 of this Zone apply to this Sub Area. | ||
| 15.2. | Area of Application | ||
| 15.2.1. | This Sub Area is located on the northwest corner of Gateway Boulevard NW and 82 Avenue NW and is legally described as Lots 1 and 2, Block 68, Plan I. | ||
| 15.3. | Development Regulations | ||
| 15.3.1. | Development must be in general conformance with Appendix 1 of this Sub Area. | ||
| 15.3.2. | Despite Section 6.1 of this Zone, the maximum Floor Area Ratio is 3.5. | ||
| 15.3.3. | In the event that the existing Strathcona Hotel building is destroyed, redevelopment must be in accordance with Sections 4 through 9 of the Zone but is not required to be in accordance with Appendix 1 of this Sub Area, to the satisfaction of the Development Planner in consultation with the City department responsible for heritage preservation. | ||
| 15.3.4. | Despite Subsection 15.3.3 of this Zone, any portion of the designated building remaining must be incorporated and retained to the satisfaction of the Development Planner in consultation with the City department responsible for heritage preservation. | ||
| 15.4. | Heritage Regulations | ||
| 15.4.1. | Strathcona Hotel and associated lands are a Designated Municipal Historic Resource. Exterior alterations and additions must be sympathetic to and compatible with the historic Facades of Strathcona Hotel to the satisfaction of the Development Planner in consultation with the City department responsible for heritage preservation. The following standards and guidelines must be applied when reviewing development applications for Strathcona Hotel: | ||
| 15.4.1.1. | The General Guidelines for Rehabilitation contained in The City of Edmonton Bylaw 14585, Bylaw to designate the Strathcona Hotel Municipal Historic Resource; and | ||
| 15.4.1.2. | The Standards and Guidelines for the Conservation of Historic Places in Canada | ||
| |||
| 16.1. | Purpose | |||
| 16.1.1. | To facilitate the continued viability of the Commercial Hotel by allowing additional development opportunities in recognition of the unique building and site, and its function within the core of Old Strathcona. Unless specifically excluded or modified in the following Subsections, all Uses and regulations in Sections 4 through 9 of this Zone apply to this Sub Area. | |||
| 16.2. | Area of Application | |||
| 16.2.1. | This Sub Area is located on the south side of 82 Avenue NW, west of Gateway Boulevard NW, and is legally described as Lots 4 - 8, Block 61, Plan I, Strathcona Junction. | |||
| 16.3. | Development Regulations | |||
| 16.3.1. | Despite Section 5.6 of this Zone, no size restriction applies to Special Event or Major Indoor Entertainment Uses. | |||
| 16.3.2. | Special Events must not exceed 10 consecutive days, or 10 cumulative days per calendar year. | |||
| 16.3.3. | Despite Section 5.6, 5.6.1, and 9.4 of this Zone, new and expanded Bar, Major Indoor Entertainment and Food and Drink Service Uses may be permitted provided the total Public Space is limited to: | |||
| 16.3.3.1. | a maximum of 535 m2 of interior Public Space; and | |||
| 16.3.3.2. | a maximum of 320 m2 of exterior Public Space. | |||
| 16.3.3.2.1. | This exterior Public Space is only permitted for a period of 4 years from the date of the passage of the Bylaw adopting this Zone. Any Development Permit allowing the use of this exterior Public Space must be conditioned to expire 4 years from the date of passage of the Bylaw adopting this Zone. | |||
| 16.3.4. | Outdoor entertainment areas associated with Major Indoor Entertainment Uses are limited to a maximum of 10% of the exterior Public Space. | |||
| 16.3.5. | Development of exterior Public Space for Bar, Major Indoor Entertainments and Food and Drink Service Uses must be compatible with other Uses located on or Abutting the Site, having regard for: | |||
| 16.3.5.1. | the siting of the exterior Public Space; | |||
| 16.3.5.2. | the location, size and height of associated temporary structures, including Signs; | |||
| 16.3.5.3. | the location and use of outdoor speakers and amplification systems; | |||
| 16.3.5.4. | screening and buffering; and | |||
| 16.3.5.5. | hours of operation. | |||
| 16.3.6. | Signs must conform with Section 5.4 of this Zone, except that 1 Projecting Sign, limited to On-premises Advertising, is allowed in general conformance with Appendix 1 of this Sub Area, despite Section 5.4 of this Zone, and subject to the following: | |||
| 16.3.6.1. | The Sign must still conform with Subsection 3 of Section 6.90 of the Zoning Bylaw; | |||
| 16.3.6.2. | The Sign must maintain a minimum vertical clearance of 2.4 m above the adjacent sidewalk; | |||
| 16.3.6.3. | The Sign must be erected such that the structural support elements are designed or concealed so as to appear as an integral part of the overall Sign design and such that no angle iron bracing, guide wires or similar support elements are visible from a public roadway or other public right-of-way; | |||
| 16.3.6.4. | No part of the Sign can contain Digital Copy; | |||
| 16.3.6.5. | The intensity of exposed bulbs (LED Edison bulbs) must not exceed 1100 lumens; | |||
| 16.3.6.6. | No part of the Sign, including exposed bulbs (LED Edison bulbs), can be flashing or scintillating; and | |||
| 16.3.6.7. | Prior to the issuance of the Development Permit for this sign, a letter from an engineer must be provided demonstrating that the proposed sign can be installed and removed with no significant impact on the historic Facade of the Commercial Hotel. This letter must be to the satisfaction of the Development Planner in consultation with the City department responsible for heritage preservation. | |||
| ||||